This was a daunting piece to write. I didn’t think I could interview everyone globally– and on deadline– on this topic. Which just goes to show that with the Internet and things like Skype, the world is indeed a small place.
As the Philippines continues to recover from Haiyan, disaster experts tell us how we can improve
December 19, 2013 Updated: December 19, 2013 11:51:00
Shoba Narayan
Days merge into nights for Athena Denise Gepte, the emergency response coordinator for the Philippine NGO Accord, who is based in Tacloban, one of the cities hit hardest by Super Typhoon Haiyan.
Gepte begins her day at dawn, loading food kits onto lorries and sending them to affected communities. After a quick breakfast, she and her team head to different evacuation centres where displaced survivors who haven’t migrated to Cebu or Manila are housed. They liaise with the Philippine government and the affected communities, some of which are left with just a few dozen households.
“The usual cycle is that we go to communities, assess their needs and capacities, validate the number of beneficiaries by giving them claim stubs; make a master-list by disaggregating sex and age; distribute food, raincoats and shelter supplies through the day; go back to base to hold team meetings during the night; and then begin the process all over again the next day,” says Gepte.
A cheery 24-year-old whose Facebook status update reads, “Things can only get better”, Gepte arrived in Tacloban on November 11, days after Haiyan flattened the landscape.
Even though she is used to typhoons – she was the assistant project director for the Typhoon Bopha Emergency Response team in 2012 – Gepte was shocked at the destruction this time. Some 20 typhoons hit the Philippines during an average year, which is why Disaster Risk Reduction (DRR) is now part of the school curriculum.
“Mainstreaming DRR, resilience and climate change adaptation into the school curricula” is what Gepte does between typhoons. Still, studying about DRR in school is one thing. Facing the full onslaught of 270 kilometre-per-hour winds is another.
By now, the world knows what the residents of Tacloban didn’t have time to process in those early morning hours of November 8, when rain and winds that sounded like a jet engine ravaged their island. Thousands perished in a single night. “The worst part of relief work is to see orphaned children, women and families, who are very vulnerable and need to be guided,” says Gepte. When asked if the survivors were angry at the way government agencies had dealt with pre- and post-disaster planning, Gepte says: “I don’t think so, although this has not yet been processed with the communities. Most people are still grieving and trying their best to help themselves. In fact, one of the best parts of my job is to witness first-hand that communities are helping each other to emerge from the disaster. This gives me a sense of pride as a Filipino.”
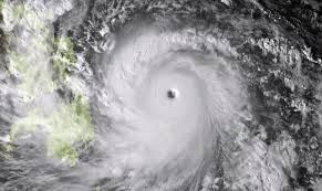
It has been over a month since Haiyan struck the nation. Originating in a low-pressure region in Micronesia on November 4, Haiyan gained strength during its 1,450km flight over the Pacific Ocean, recording winds of up to 315kph, spreading out as wide as 600km at its peak. It made landfall in the southern Philippines, killing close to 6,000 people, leaving 11 million homeless and causing damages currently estimated at US$5.8 billion (Dh21.3bn). Meteorologists have called it the strongest typhoon to make landfall. The terms typhoon, hurricane, cyclone and tropical storm all mean essentially the same thing. The difference comes from the geography in which they are used.
According to the climate scientist Adam Sobel of Columbia University, it’s only going to get worse. “We are quite confident that tropical cyclones will become more intense as the climate warms and that they will produce more rainfall … In this sense, Haiyan is precisely the kind of storm that we expect to become more frequent due to climate change.”
Among the worst-hit by Haiyan was Tacloban in Leyte province. This was no fishing village without means or resources. With a population of about 220,000, Tacloban was classified by the Philippine government as a “highly urbanised city”, which is considered a badge of honour.
Local authorities took Philippine President Benigno Aquino’s assurance that this tropical storm would be a “zero-casualty” event seriously.
In the days leading up to Haiyan, the central government sent the interior secretary, Manuel Roxas, to help with disaster planning. In spite of all this, Haiyan wreaked havoc for reasons that have to do with both science and human error.
“Compared to neighbouring countries such as China and Vietnam, which have grappled with a similar frequency of typhoons in recent years, the Philippines has always been comparatively less effective in crisis-prevention as well as post-crisis management aspects,” says Richard J Heydarian, a political science lecturer at Ateneo de Manila University and a foreign policy adviser at the Philippine House of Representatives.
While Filipino officials were used to dealing with typhoons, they did not anticipate the storm surge – the height that seawater rises above the tide – which, in this case, was a record 4 metres to 6 metres. Tragically, many people drowned because they didn’t understand the term “storm surge” when it was used by the mayor during televised addresses. Philippine government officials should have used the term “tsunami” to describe the rising water levels. Filipinos are used to typhoons, so they felt confident that they could cope.
As with other typhoons, local authorities allowed the evacuation to be mostly voluntary. They urged coastal residents to evacuate, but didn’t make it compulsory, unlike the Indian authorities during Cyclone Phailin in early October. In India, the local authorities in Odisha state issued “leave or perish” orders and those who refused to comply were arrested under the country’s prevention of suicide law. In all, 900,000 people were evacuated from coastal communities in 36 hours and there were only 45 fatalities.
The stark difference in the number of deaths put President Aquino on the defensive and brought into sharp focus the shortcomings of Philippine disaster management. People immediately began pointing fingers – at the rampant corruption in the Philippine bureaucracy and the government’s inability to respond to catastrophic events effectively.
Aquino’s reluctance to provide post-disaster aid to Leyte province was that it was an opposition stronghold, according to critics. Such partisan politics are common in many countries, but response to this tropical storms laid bare the stark differences in disaster-management capabilities. More than anything, Haiyan has caused governments, meteorologists and scientists to see patterns and create linkages between typhoons, climate change and disaster management. As Margareta Wahlström, head of the United Nations Office for Disaster Risk Reduction (UNISDR), says, Haiyan is a “turning point” in DRR, putting the world in “uncharted territory” and requiring a “dramatic scaling up” of efforts to protect vulnerable communities.
“Typhoon Haiyan is a major setback for those of us who thought that the world was becoming more successful in reducing loss of life from major weather events,” she said.
Disaster management came into vogue in the 1970s when the UN set up an office to promote the study, prevention, control and prediction of natural disasters and to assist governments on pre-disaster planning.
In 1988, a bumper year for natural disasters, there were floods in Sudan and Bangladesh, hurricanes in South America and the Caribbean, typhoons in the Philippines and locust infestations in Africa. In reaction to these, the UN decided to name the 1990s the International Decade for Natural Disaster Reduction. It convened a conference in Yokohama, Japan, to come up with a global strategy to combat disasters and also to study how to mitigate regular events such as the El Niño phenomenon.
In the 2000s, the International Strategy for Disaster Reduction resulted in the self-explanatory Johannesburg Plan of Action, which was discussed in depth during the second disaster conference held in Kobe, Japan, in 2005. This resulted in the Hyogo Framework of Action 2005-2015, which was the first global plan that attempted to “explain, describe and detail the work that is required from all different sectors and actors to reduce disaster losses”, according to UNISDR.
The five action points are both self-evident and far-reaching: ensure that DRR is a priority at all levels of government; enhance early warning systems; teach vulnerable communities safety and resilience; reduce the underlying risk factors; and strengthen disaster risk preparedness.
So far, individual countries have refined the Hyogo Framework of Action to suit their needs. China, for instance, developed its own master plan as late as 2006 and tested it two years later when the Sichuan earthquake hit in 2008.
According to humanitarian experts, China now stands as a model for preparedness for two reasons: its National Commission for Disaster Reduction (NCDR) coordinates 34 government bodies and the Chinese Red Cross, and this centralised model is replicated at the local level. According to the UNISDR’s Wahlström, China aims to keep its disaster losses at less than 1.5 per cent of GDP, a laudable goal and one that Wahlström hopes other countries will pursue.
Prodded by the 1993 Latur earthquake, the 2001 Gujarat earthquake and the 2004 Indian Ocean tsunami, India formulated a disaster management plan that moved the nation from emergency response to prevention.
Although the Philippines has been particularly vulnerable to natural disasters, given its location, it was only after Typhoon Sening in October 1970 and the flooding of metropolitan Manila that President Ferdinand Marcos approved a disaster-management plan prepared by an intergovernmental body. In 1978, a National Disaster Coordinating Council (NDCC) was established to come up with a master plan. According to a publication put out by the Asian Disaster Preparedness Centre, titled the Philippine Disaster Management Story, the policies formulated by the NDCC puts the local authorities above the federal. One of the policy stipulations, for example, states: “Each administrative subdivision should utilise all available resources in the area before asking for assistance from neighbouring entities or a higher authority … The primary responsibility rests on the government agencies in the affected areas in coordination with the people themselves … The national government exists to support local governments.”
One of the most challenging problems of managing disasters is the way in which local, state and federal agencies work together. Someone has to call the shots and who it is needs to be decided before disaster strikes. The person in charge, for example, the mayor of a city or governor of a province, may not have the broad swathe of expertise needed to handle the situation and yet knows his area better than the meteorological or federal experts who come to help. Different countries have different models of leadership during a national disaster. The Philippines – like most countries – leaves it to the local authorities. It goes a step further by encouraging independent action and self-reliance, even in the smallest provinces or barangays. Is this good or bad? “The problem with the Philippines is that the trend towards decentralisation has been premature and half-baked, since neither the central government has been consolidated in terms of its capabilities and strategic planning structures, nor have the lower governmental units been empowered enough to grapple with seismic challenges such as climate change,” says Heydarian.
Clearly delineating authority works during some disasters – such as Cyclone Phailin, in which the Indian army, coastguard and central governmental authorities were under the jurisdiction of the local authorities. In other instances, as outlined in the US government document Federal Responses to Hurricane Katrina: Lessons Learned, such a chain of command from local to federal can lead to miscommunication, lack of clear leadership and mismanagement. Mistakes made during and after Katrina and Sandy helped the US authorities determine how they could improve their disaster-management capabilities.
“As there are likely to be a greater numbers of intense storms in the future, we need to begin planning now for our response to these disasters. Advanced-warning systems are effective, but our action plans need to reflect what we have learnt from these and other disasters like Hurricane Katrina and Superstorm Sandy,” says Representative Mike Honda, who represents Silicon Valley in northern California and is a member of the House Sustainable Energy and Environment Coalition. Honda has co-sponsored major climate change-related bills.
Are tropical storms caused by climate change? It’s hard to say. As Sobel, the climate scientist, points out, it is like connecting cigarette smoking and cancer. While smoking increases the odds of cancer, other factors are also involved. “Overall, while Haiyan cannot be directly attributed to climate change, it is certainly the kind of event that we expect to happen more frequently in the future, due both to increased development and human-caused climate change.”
Other scientists concur with this hypothesis. They say that single events such as Haiyan cannot be attributed to climate change. After all, storms and hurricanes happened before the industrial age when humans began emitting greenhouse gases into the ozone layer. On the other hand, to refuse to recognise the possibility of a link is also foolish. “There are too many people still [particularly in the United States, but also elsewhere] who disbelieve the clear scientific consensus that humans are causing significant climate change, either because it seems to imply a need for government regulation, which they don’t like, or because they have been misled by the active and well-funded disinformation campaign that has been waged here in the US by some interest groups,” says Sobel.
The question before the international community is the way forward: how to mitigate the effect of such tropical storms; how to improve disaster planning and disaster risk reduction; how to come up with a cross-border legal framework for future natural calamities. These were the questions that faced the delegations that attended The Warsaw Climate Change conference that began three days after Haiyan struck. During the conference, the lead negotiator of the Philippine delegation, Yeb Sano, who is from Tacloban, broke down in tears as he described the tragedy that had overtaken his hometown. He linked Haiyan directly to global warming. “What my country is going through as a result of this extreme climate event is madness; the climate crisis is madness,” said Sano. He went on a hunger strike to honour those Filipinos who were starving and homeless. Many individuals and relief organisations including Friends of the Earth, 18 Million Rising and MoveOn joined him in solidarity. A petition Sano launched on Avaaz.org to “ratchet up pollution controls” and help poor countries with funding has so far garnered 750,000 signatures, with a goal of 1 million. The Hyogo Framework of Action expires in 2015 and the UNISDR has already started planning for a “post-2015 framework for disaster risk reduction”, also called HFA2, which will be formalised in a conference in Sendai, Japan, in March 2015. In a series of background papers, UNISDR states the scale of the problem and the numbers are mind-boggling: “Between 2002 and 2011, there were 4,130 disasters recorded, resulting from natural hazards around the world where 1,117,527 people perished and a minimum of US$1,195 billion was recorded in losses.” Although densely populated, urban areas are at a higher risk, all countries are vulnerable. The economic losses that result from natural disasters are huge: “The risk of losing wealth in weather-created disasters is now exceeding the rate at which wealth is being created,” said the background paper from UNISDR.
In an uncertain future, one thing to feel optimistic about is the strength of the human spirit. Laura Sheahen of Care USA spent three weeks in the typhoon-struck city of Ormoc and in the villages and hills around it. “I had expected a certain degree of anger and fatalism but what struck me was that the people were positive and proactive,” says Sheahen.
“There is a word in the local language – bangon – which means stand up or rise. You’d see people wearing T-shirts with it. Or hand-painted signs on buildings that had been ripped apart. There would be a small sign on top that said: ‘Bangon Ormoc’.”
The world, too, needs to bangon to the challenges that natural disasters bring.
Shoba Narayan is a regular contributor to The National.








Leave A Comment